Logo AVEPA

Clínica Veterinaria de Pequeños Animales

Revista oficial de AVEPA

  • Inicio
  • Último número
  • Archivo
  • Artículos
  • Para autores
  • Contacto
Cursos Junio-Septiembre 2026
ANUNCIO

Clínica Veterinaria de Pequeños Animales

Revista oficial de AVEPA

  • Inicio
  • Último número
  • Archivo
  • Artículos
  • Para autores
  • Contacto
Curso Oftalmología 2026
ANUNCIO
Clin Vet Peq Anim Vol. 36 • Nº 3 • septiembre 2016

Mucocele salival cervical ocasionado por un sialolito en un perro

Cervical salivary mucocele produced by a sialolith in a dog

Artículo original referido a un solo caso clínico

M.E. Lebrero-Berna

Hospital Veterinario de la Universidad de Zaragoza

E. Ramón-Soláns

Hospital Veterinario de la Universidad de Zaragoza

M. Alamán-Valtierra

Hospital Veterinario de la Universidad de Zaragoza

A. Unzueta-Galarza

Hospital Veterinario de la Universidad de Zaragoza

A. González-Inglán

Hospital Veterinario de la Universidad de Zaragoza

Contacto: wlebrero@unizar.es
Palabras clave: Glándula salivar, sialolitiasis, mucocele salival, diagnóstico por imagen..
Keywords: Salivary gland, sialolithiasis, salivary mucocoele, imaging diagnosis test..
Clin. Vet. Peq. Anim, 2016, 36 (3): 179 - 183
Descargar artículo

Resumen

En el presente trabajo se describe, a propósito de un caso clínico, la presencia de un mucocele de las glándulas mandibular/sublingual como consecuencia de un sialolito en un Cocker Spaniel Inglés de 6 años de edad. El estudio radiológico del área cervical permitió la visualización de dicho cálculo. La sialoadenectomía de ambas glándulas, así como la extracción del sialolito, fueron resolutivas en este caso. Debido a que la sialolitiasis en la especie canina es un hallazgo poco frecuente y cuyo diagnóstico se puede subestimar, nos parece interesante exponer dicho caso.

Abstract

In this paper is described , referring to a case , the presence of a mandibular /sublingual mucocoele as a result of sialolith in a Cocker Spaniel 6 years old. The radiological study of the cervical area allowed the visualization of the calculus. Sialoadenectomía of both glands and extraction were decisive in this case.  Because sialolithiasis in dogs is a rare find and whose diagnosis can be underestimated, it is interesting to present that case.

Introducción

Un mucocele salival o sialocele se define como la acumulación, a nivel de tejido subcutáneo, de saliva procedente de una glándula o conducto salivar dañado, generando en la zona una importante reacción tisular.[ Fossum TW, Hedlund CS, Hulse DA et al. Surgery of the digestive system. En Fossum TW (ed): Small Animal Surgery, St. Louis, Elsevier, 2002; 221-399. , Ryan T, Welsh E, Mc Gorum I et al. Sublingual salivary gland sialolithiasis in a dog. J Small Anim Pract 2008; 49 (5):254-6. ] En función de la localización, se describen distintas formas de presentación clínica de un sialocele. El mucocele cervical, que aparece en el espacio intermandibular o región cervical superior debido a la afectación de las glándulas mandibular y/o sublingual,[ Fossum TW, Hedlund CS, Hulse DA et al. Surgery of the digestive system. En Fossum TW (ed): Small Animal Surgery, St. Louis, Elsevier, 2002; 221-399. , Tobías, KM. Capítulo 54: Sialocele. En Manual de Cirugía de Tejidos Blandos en Pequeños Animales: Buenos Aires, Inter-médica, 2011; 347-52. ] es la presentación más frecuente de sialocele en el perro.[ Ryan T, Welsh E, Mc Gorum I et al. Sublingual salivary gland sialolithiasis in a dog. J Small Anim Pract 2008; 49 (5):254-6. , Bellenger CR, Simpson DJ. Canine sialoceles 60 clinical cases. J Small Anim Pract. 1992; 33:376-80. , Spreul JS, Head KW. Cervical salivary cysts in the dog. J Small Anim Pract 1967; 8 :17-35. , Glen JB. Canine salivary mucocoele. Results of sialographic examination and surgical treatment of fifty cases. J Small Anim Pract 1972; 13 (9):515-26. [PubMed] ] Otras localizaciones son sublingual o ránula, zigomático y faríngeo.[ Fossum TW, Hedlund CS, Hulse DA et al. Surgery of the digestive system. En Fossum TW (ed): Small Animal Surgery, St. Louis, Elsevier, 2002; 221-399. ]

Aunque la principal causa de mucocele en la especie canina es por trauma, no se puede descartar la presencia de un sialolito, cuerpo extraño o neoplasia como agente causal.[ Fossum TW, Hedlund CS, Hulse DA et al. Surgery of the digestive system. En Fossum TW (ed): Small Animal Surgery, St. Louis, Elsevier, 2002; 221-399. , Ryan T, Welsh E, Mc Gorum I et al. Sublingual salivary gland sialolithiasis in a dog. J Small Anim Pract 2008; 49 (5):254-6. , Glen JB. Canine salivary mucocoele. Results of sialographic examination and surgical treatment of fifty cases. J Small Anim Pract 1972; 13 (9):515-26. [PubMed] , Mulkey OC, Knecht CD. Parotid salivary gland cyst and calculus in a dog. J Am Vet Med Assoc 1971; 159-74. ] La sialolitiasis, es decir, la presencia de un cálculo salival como causa de un sialocele cervical, es un hallazgo muy poco frecuente.[ Ryan T, Welsh E, Mc Gorum I et al. Sublingual salivary gland sialolithiasis in a dog. J Small Anim Pract 2008; 49 (5):254-6. , Termote S. Parotid salivary duct mucocoele and sialolithiasis following parotid duct transposition. J Small Anim Pract 2003; Jan 44 (1):21-3. [PubMed] , Trumpatori BJ, Geissler K, Matthews KG. Parotid duct sialolithiasis in a dog. J Am Anim Hosp Assoc 2007; 43:45-51. ] En la mayoría de los casos la presencia de un sialolito produce la ruptura y posterior fibrosis de los conductos salivares, permitiendo la salida de saliva a los tejidos colindantes.[ Termote S. Parotid salivary duct mucocoele and sialolithiasis following parotid duct transposition. J Small Anim Pract 2003; Jan 44 (1):21-3. [PubMed] , Trumpatori BJ, Geissler K, Matthews KG. Parotid duct sialolithiasis in a dog. J Am Anim Hosp Assoc 2007; 43:45-51. , Jeffreys DA, Stasiw A, Dennis R. Parotid sialolithiasis in a dog. J Small Anim Pract 1996; 37:296-97. ] acumulándose en las zonas más declives de proyección de las glándulas.

El diagnóstico clínico del mucocele cervical se basa en la detección de una masa blanda y fluctuante en la zona de proyección glandular, a nivel de la región intermandibular.[ Fossum TW, Hedlund CS, Hulse DA et al. Surgery of the digestive system. En Fossum TW (ed): Small Animal Surgery, St. Louis, Elsevier, 2002; 221-399. , Tobías, KM. Capítulo 54: Sialocele. En Manual de Cirugía de Tejidos Blandos en Pequeños Animales: Buenos Aires, Inter-médica, 2011; 347-52. ] Tras su punción-aspiración, se obtiene un líquido de color amarillo o teñido ligeramente con sangre, viscoso, mucoide, transparente y de escasa celularidad.[ Fossum TW, Hedlund CS, Hulse DA et al. Surgery of the digestive system. En Fossum TW (ed): Small Animal Surgery, St. Louis, Elsevier, 2002; 221-399. ] Sin embargo, para detectar sialolitos son necesarias pruebas de imagen como radiología, ecografía, resonancia magnética, tomografía computerizada o sialoendoscopia,[ Termote S. Parotid salivary duct mucocoele and sialolithiasis following parotid duct transposition. J Small Anim Pract 2003; Jan 44 (1):21-3. [PubMed] , Trumpatori BJ, Geissler K, Matthews KG. Parotid duct sialolithiasis in a dog. J Am Anim Hosp Assoc 2007; 43:45-51. , Coutin JV, Reese SL, Thieman-Mankin K, Ellison GW. What is your diagnosis? Mandibular sialolithiasis. J Am Vet Med Assoc 2014; 244(5):535-7. ] las cuales no son habituales en el diagnóstico de un mucocele cervical en la especie canina,[ Fossum TW, Hedlund CS, Hulse DA et al. Surgery of the digestive system. En Fossum TW (ed): Small Animal Surgery, St. Louis, Elsevier, 2002; 221-399. ] lo que puede implicar que su detección pase desapercibida.

La sialoadenectomía mandibular y sublingual, junto con la extracción del sialolito, es la terapia definitiva que evita posibles recidivas en este tipo de sialoceles.[ Fossum TW, Hedlund CS, Hulse DA et al. Surgery of the digestive system. En Fossum TW (ed): Small Animal Surgery, St. Louis, Elsevier, 2002; 221-399. , Ryan T, Welsh E, Mc Gorum I et al. Sublingual salivary gland sialolithiasis in a dog. J Small Anim Pract 2008; 49 (5):254-6. , Tobías, KM. Capítulo 54: Sialocele. En Manual de Cirugía de Tejidos Blandos en Pequeños Animales: Buenos Aires, Inter-médica, 2011; 347-52. , Coutin JV, Reese SL, Thieman-Mankin K, Ellison GW. What is your diagnosis? Mandibular sialolithiasis. J Am Vet Med Assoc 2014; 244(5):535-7. ]

El objetivo de este caso clínico es la descripción de la presencia de un mucocele de las glándulas mandibular/sublingual como consecuencia de un sialolito en perro.

Caso clínico

Se remitió al Hospital Veterinario de la Universidad de Zaragoza, un Cocker Spaniel Inglés macho, de 6 años de edad, con una masa ventral a la mandíbula, de aparición aguda y progresiva de dos meses de evolución. El propietario no indicó la existencia de traumatismos ni patologías previas de relevancia en el paciente.

Clínicamente, a excepción de la masa, el paciente no mostraba sintomatología alguna.

Se realizó una exploración general, siendo sus constantes vitales normales: aspecto de piel y pelo normal, ausencia de linfoadenopatías, color de mucosas rosado, tiempo de rellenado capilar < 1 segundo, temperatura 38,7º C, frecuencia cardiaca 88 latidos por minuto (lpm), frecuencia respiratoria 20 respiraciones por minuto (rpm) y auscultación respiratoria y cardiaca normales.

A la inspección se palpó una masa en la región cervical superior a nivel del espacio intermandibular (Fig.1). Se constató que se trataba de una estructura única, depresible, blanda y fluctuante, de unos 4 x 4 cm de diámetro. El paciente no mostraba signos evidentes de dolor en la zona, ni eritema, ni incremento de la temperatura local. No había lesiones a nivel cutáneo, ni alteraciones en el área de proyección de las glándulas salivares. La exploración de la cavidad oral y el tamaño y consistencia de los ganglios retrofaríngeos, eran correctos.

<p>Aspecto que presentaba el paciente previo a la cirugía.</p>
Figura 1

Aspecto que presentaba el paciente previo a la cirugía.

En el diagnóstico diferencial se incluyó sialocele, neoplasia, absceso, hematoma y quiste tonsilar o tirogloso.[ Fossum TW, Hedlund CS, Hulse DA et al. Surgery of the digestive system. En Fossum TW (ed): Small Animal Surgery, St. Louis, Elsevier, 2002; 221-399. ]

Se realizó una punción y aspiración de la masa, obteniéndose un líquido mucoide, sanguinolento y viscoso. Tras la fijación y tinción de la muestra, mediante Panóptico rápido (Everest, Molins de Rei, Barcelona), se observó un recuento celular y leucocitario moderadamente reducido, además de la ausencia de células de carácter neoplásico o bacteriano.

Se extrajo una muestra de sangre venosa para realizar un análisis hematológico y bioquímico, no observándose ninguna anormalidad: glóbulos rojos (RBC), 6,30 M/µL, hematocrito (HCT), 37,7%, hemoglobina (HGB), 14,0 g/dL, glóbulos blancos (WBC), 6160 K/ µL, creatinina (CREA), 0,7 mg/dL, alanina transaminasa (ALT), 113 U/L, gamma glutamil transpeptidasa (GGT ), 7 U/L, albúmina (ALB), 3,3 g/dL y proteínas totales (TP), 6,9 g/dL.

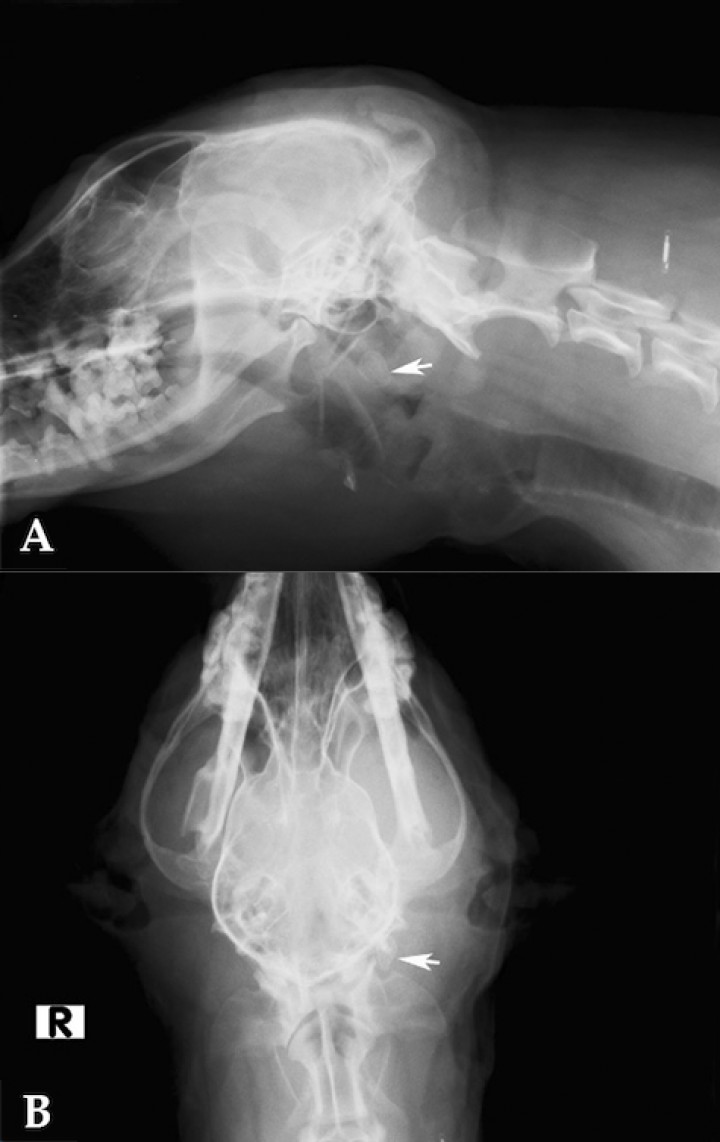
Se realizó un estudio radiológico del área cervical que puso de manifiesto la presencia de una estructura radiópaca, de 1,18 mm, en la región topográfica de glándula salival submandibular izquierda, siendo compatible con un sialolito (Fig. 2). Con los resultados obtenidos se diagnosticó un mucocele salival cervical asociado a la presencia de un sialolito.

<p>Radiografia lateral (A) y ventrodorsal (B) de cabeza y cuello. Se observa la presencia de un sialolito en región de glándula salival submandibular izquierda (flecha).</p>
Figura 2

Radiografia lateral (A) y ventrodorsal (B) de cabeza y cuello. Se observa la presencia de un sialolito en región de glándula salival submandibular izquierda (flecha).

Como tratamiento se optó por una sialoadenectomía de la glándula mandibular y sublingual izquierdas. Para ello se premedicó al paciente con una combinación de maleato de acepromacina (Calmo Neosan®, Pfizer, Alcobendas, Madrid) 0,03 mg/Kg y metadona (Metasedin®, Esteve, Barcelona) 0,3 mg/Kg vía intramuscular. Para la inducción se administró propofol intravenoso (Vetofol®, Esteve, Barcelona) 5 mg/Kg y, tras su intubación, se utilizó para el mantenimiento anestésico isofluorano (Isoflo®, Esteve, Barcelona), vehiculado en oxígeno (FiO2: 0,5) mezclado con aire medicinal.

Se preparó el campo quirúrgico, rasurando la zona rostral y ventral izquierda y lavando con una solución antiséptica jabonosa de povidona yodada (Orsan®, Covidien, Sant Joan Despi, Barcelona).

Se colocó al paciente en decúbito lateral derecho, con la cabeza en una ligera posición dorsolateral y con el cuello extendido y levemente elevado. Como referencia anatómica principal se tomó la vena yugular externa, puesto que la glándula mandibular se encuentra delimitada por la bifurcación de la misma, es decir, por la rama linguofacial y maxilar. Se incidió piel, tejido subcutáneo y músculo cutáneo del cuello desde rostral a la vena yugular externa, hasta sobrepasar el ángulo de la mandíbula y localizar la glándula mandibular (Fig. 3A). Se seccionó la cápsula fibrosa de la glándula mandibular, para disecarla junto con la porción monostomática de la sublingual. La arteria y vena se encontraron en dorsomedial durante la extracción del tejido glandular (Fig. 3B). Se ligaron con una sutura monofilamento reabsorbible de gliconato 3/0 (Monosyn® B Braun, Tuttlingen, Alemania). Adyacente al conducto salival y libre en el tejido subcutáneo, se extrajo una estructura de 13 mm de forma ovalada, superficie lisa, coloración parda clara, consistencia media y estructura cérea, que se identificó como un sialolito (Fig. 4A). El conducto se encontraba roto y fibrosado. Se realizó, con la misma sutura, una ligadura de dicho conducto a la altura de la porción más caudal de la parte poliestomática de la glándula sublingual (Fig. 4B). A continuación, se procedió al lavado de la zona quirúrgica con Ringer lactato atemperado para eliminación de detritus y restos de saliva acumulados. Además, para facilitar la salida de exudados inflamatorios, se colocó un drenaje Penrose en la zona más declive del sialocele. Para el cierre de la herida quirúrgica se procedió a la aposición con un patrón de sutura continuo, primero del músculo cutáneo del tronco y segundo del tejido subcutáneo. Se empleó sutura monofilamento absorbible de gliconato 3/0 (Monosyn®, B Braun, Tuttlingen, Alemania). La piel se aproximó con puntos en U vertical con sutura monofilamento no absorbible de poliamida 2/0 (Dafilon®, B Braun, Tuttlingen, Alemania) (Fig. 4C). Durante la intervención se necesitó la administración de 3 bolos intravenosos de fentanilo (Fentanest®, Kern Pharma, Terrasa, Barcelona) 2 µg /Kg como analgesia de rescate.

<p>A. Tras la incisión y disección del tejido subcutáneo, se localiza la bifurcación de la vena yugular entre la cual se encuentra la glándula mandibular. B. Se incide la cápsula que cubre las glándulas, lo cual permite disecar con facilidad todo el tejido glandular.</p>
Figura 3

A. Tras la incisión y disección del tejido subcutáneo, se localiza la bifurcación de la vena yugular entre la cual se encuentra la glándula mandibular. B. Se incide la cápsula que cubre las glándulas, lo cual permite disecar con facilidad todo el tejido glandular.

<p>A. Al traccionar de la glándula, se observa el conducto roto y, próximo a él, el sialolito. B. Se coloca una ligadura de material absorbible lo más rostral posible, para eliminar por completo el tejido glandular. C. Cierre de la herida y colocación del drenaje en la zona más declive.</p>
Figura 4

A. Al traccionar de la glándula, se observa el conducto roto y, próximo a él, el sialolito. B. Se coloca una ligadura de material absorbible lo más rostral posible, para eliminar por completo el tejido glandular. C. Cierre de la herida y colocación del drenaje en la zona más declive.

Como tratamiento postoperatorio se administró por vía oral, amoxicilina-ácido clavulánico (Synulox®, Pzifer, Alcobendas, Madrid) 12,5 mg/Kg/12h/10 días) y meloxicam (Metacam®, Boehringer Ingelheim, San Cugat del Vallés, Barcelona) 0,1 mg/Kg/24 horas/4 días.

El drenaje y los puntos, se retiraron a los 3 días y 10 días respectivamente, siendo la evolución del paciente favorable.

El diagnóstico histopatológico del tejido glandular escindido reveló una sialodenitis crónica con un infiltrado mononuclear de carácter linfoplasmocitario, acompañado de éstasis secretor con salida al intersticio y destrucción de acinis glandulares. El análisis del sialolito mostró una composición a base de carbonato cálcico y magnésico.

Discusión

La sialolitiasis es una patología con escasa prevalencia en la especie canina, afectando en la mayoría de los casos al conducto/glándula parótida.[ Ryan T, Welsh E, Mc Gorum I et al. Sublingual salivary gland sialolithiasis in a dog. J Small Anim Pract 2008; 49 (5):254-6. , Mulkey OC, Knecht CD. Parotid salivary gland cyst and calculus in a dog. J Am Vet Med Assoc 1971; 159-74. , Termote S. Parotid salivary duct mucocoele and sialolithiasis following parotid duct transposition. J Small Anim Pract 2003; Jan 44 (1):21-3. [PubMed] , Trumpatori BJ, Geissler K, Matthews KG. Parotid duct sialolithiasis in a dog. J Am Anim Hosp Assoc 2007; 43:45-51. , Jeffreys DA, Stasiw A, Dennis R. Parotid sialolithiasis in a dog. J Small Anim Pract 1996; 37:296-97. , Hunt GB, Youmans KR, Simpson DJ. Retropharyngeal pain and swelling in a dog. Aus Vet J 1997; 75: 476-91. , Stanley R. Failure of parotid duct transposition due to sialolith formation. Vet Comp Ophthalmol 1997; 7:126-7. ] Existen sólo dos casos citados en la bibliografía que afectan a glándula/conducto mandibular/sublingual,[ Ryan T, Welsh E, Mc Gorum I et al. Sublingual salivary gland sialolithiasis in a dog. J Small Anim Pract 2008; 49 (5):254-6. , Coutin JV, Reese SL, Thieman-Mankin K, Ellison GW. What is your diagnosis? Mandibular sialolithiasis. J Am Vet Med Assoc 2014; 244(5):535-7. ] tal y como ocurre en el caso descrito. A diferencia de los seres humanos en los que la sialolitiasis es una patología bastante común, representando aproximadamente el 30% de las alteraciones salivares,[ Termote S. Parotid salivary duct mucocoele and sialolithiasis following parotid duct transposition. J Small Anim Pract 2003; Jan 44 (1):21-3. [PubMed] , Trumpatori BJ, Geissler K, Matthews KG. Parotid duct sialolithiasis in a dog. J Am Anim Hosp Assoc 2007; 43:45-51. , Grases F, Santiago C, Simonet BM, et al. Sialolithiasis: mechanism of calculi formation and etiologic factors. Clin Chim Acta 2003; 334:131-36. ] en el perro se trata de un proceso que muy rara vez se detecta.[ Spangler WL, Culbertson MR. Salivary gland disease in dogs and cats: 245 cases (1985-1988). J Am Vet Med Assoc 1991; 198:465-69. ] La clara disparidad en la prevalencia entre especies puede ser debida a las diferencias anatómicas de las glándulas y conductos salivares, aunque es posible que muchos no sean diagnosticados en la especie canina al no realizar de manera rutinaria radiografías en el caso de mucoceles salivares.[ Ryan T, Welsh E, Mc Gorum I et al. Sublingual salivary gland sialolithiasis in a dog. J Small Anim Pract 2008; 49 (5):254-6. ] En el perro, los sialolitos pueden estar compuestos de carbonato cálcico, fosfato cálcico,[ref=16, 17] carbonato de magnesio[ Mulkey OC, Knecht CD. Parotid salivary gland cyst and calculus in a dog. J Am Vet Med Assoc 1971; 159-74. ] o fosfato amónico-magnésico.[ Hunt GB, Youmans KR, Simpson DJ. Retropharyngeal pain and swelling in a dog. Aus Vet J 1997; 75: 476-91. ] La composición es similar a la de los humanos.[ Tanaka N, Ichinose S, Adachi Y et al. Ultrastructural analysis of salivary calculus in combination with x ray microanalysis. Med Electr Microscopy 2003; 36:120-26. ] Los cálculos salivales, generalmente aparecen en casos de sialoceles crónicos,[ Spreul JS, Head KW. Cervical salivary cysts in the dog. J Small Anim Pract 1967; 8 :17-35. , Smith M. Oral and salivary gland disorders. En Ettinger SJ, Feldman EC (ed): Textbook of Veterinary Internal Medicine, St Louis, Elsevier/Saunders, 2005; 1290-96. ] pero la causa de su formación no se conoce con exactitud. La hipótesis más extendida considera que su aparición es debida a la mineralización de cuerpos extraños, células epiteliales descamadas o microorganismos.[ Ryan T, Welsh E, Mc Gorum I et al. Sublingual salivary gland sialolithiasis in a dog. J Small Anim Pract 2008; 49 (5):254-6. , Bodner L. Parotid Sialolithiasis. J Laryngol Otol 1999; 113(3):266-67. , Rebolledo M, Carbonell Z, Díaz A. Sialolitos en conductos y glándulas salivales. Revisión de literatura. Av Odonto Estomatol 2009; 25(6): 311-17. ] También se han descrito casos de formación de sialolitos tras la transposición del conducto parotídeo.[ Termote S. Parotid salivary duct mucocoele and sialolithiasis following parotid duct transposition. J Small Anim Pract 2003; Jan 44 (1):21-3. [PubMed] , Stanley R. Failure of parotid duct transposition due to sialolith formation. Vet Comp Ophthalmol 1997; 7:126-7. ]

Las técnicas de diagnóstico por imagen, como radiología, ecografía, resonancia magnética, tomografía computerizada o sialoendoscopia, son de utilidad en la detección de sialolitos, tal y como está descrito en la especie humana y en algún caso de la especie canina, pero pueden tener también sus limitaciones.[ Ryan T, Welsh E, Mc Gorum I et al. Sublingual salivary gland sialolithiasis in a dog. J Small Anim Pract 2008; 49 (5):254-6. , Trumpatori BJ, Geissler K, Matthews KG. Parotid duct sialolithiasis in a dog. J Am Anim Hosp Assoc 2007; 43:45-51. , Coutin JV, Reese SL, Thieman-Mankin K, Ellison GW. What is your diagnosis? Mandibular sialolithiasis. J Am Vet Med Assoc 2014; 244(5):535-7. ] Así, aunque un estudio radiológico simple puede ser utilizado en el diagnóstico de la sialolitiasis en humana, de un 15 a un 45% de los sialolitos son radiolúcidos. Por ello, en personas, la técnica diagnóstica más usada es la sialografía de contraste.[ Bsoul SA, Flint DJ, Terezhalmy GT et al. Sialolithiasis. Quintessence Int 2003; 34: 316-317. , Nahlieli O, London D, Zagury A et al. Combined approach to impacted parotid stones. J Oral Maxillofac Surg 2002; 60:1418-23. , Marchal F, Dulguerov P, Becker M et al. Specificity of parotid sialendoscopy. Laryngoscope 2001; 11(2):64-271. ] En la especie canina esta técnica es complicada debido a la dificultad para sondar el conducto,[ Fossum TW, Hedlund CS, Hulse DA et al. Surgery of the digestive system. En Fossum TW (ed): Small Animal Surgery, St. Louis, Elsevier, 2002; 221-399. , Trumpatori BJ, Geissler K, Matthews KG. Parotid duct sialolithiasis in a dog. J Am Anim Hosp Assoc 2007; 43:45-51. ] pero está descrito su uso para valorar la anatomía glandular, así como la identificación de la glándula y lado afectado.[ Bellenger CR, Simpson DJ. Canine sialoceles 60 clinical cases. J Small Anim Pract. 1992; 33:376-80. , Trumpatori BJ, Geissler K, Matthews KG. Parotid duct sialolithiasis in a dog. J Am Anim Hosp Assoc 2007; 43:45-51. ] Según la bibliografía consultada, no existen estudios que permitan determinar cuál es la técnica diagnóstica más aconsejable para la detección de sialolitos en perros, seguramente por la escasa prevalencia de dicha enfermedad en la especie canina.[ Ryan T, Welsh E, Mc Gorum I et al. Sublingual salivary gland sialolithiasis in a dog. J Small Anim Pract 2008; 49 (5):254-6. , Coutin JV, Reese SL, Thieman-Mankin K, Ellison GW. What is your diagnosis? Mandibular sialolithiasis. J Am Vet Med Assoc 2014; 244(5):535-7. ] En el caso descrito, la radiografía del área cervical fue la clave diagnóstica, siendo escogida por ser una técnica económica, sencilla y de fácil acceso e interpretación. En cuanto al tratamiento de los mucoceles cervicales, la punción-aspiración terapéutica repetida, así como la administración de fármacos intralesionales antiinflamatorios (corticoides) o cauterizantes (povidona iodada), además de no corregir el proceso, pueden complicar la cirugía posterior debido a la aparición de fibrosis o abscesos.[ Fossum TW, Hedlund CS, Hulse DA et al. Surgery of the digestive system. En Fossum TW (ed): Small Animal Surgery, St. Louis, Elsevier, 2002; 221-399. , Bellenger CR, Simpson DJ. Canine sialoceles 60 clinical cases. J Small Anim Pract. 1992; 33:376-80. , Alexander MR, Mark MS: The oral cavity and oropharynx. En Brockman DJ, Holt DE (ed): BSAVA Manual of Canine and Feline Head, Neck and Thoracic Surgery, Gloucester, British Small Animall Veterinary Association, 2005; 39-64. ] Así, el tratamiento de elección es la remoción conjunta de la glándula mandibular y la porción monostomática de la sublingual, junto a sus respectivos conductos.[ Ryan T, Welsh E, Mc Gorum I et al. Sublingual salivary gland sialolithiasis in a dog. J Small Anim Pract 2008; 49 (5):254-6. , Coutin JV, Reese SL, Thieman-Mankin K, Ellison GW. What is your diagnosis? Mandibular sialolithiasis. J Am Vet Med Assoc 2014; 244(5):535-7. ] La íntima relación anatómica entre ambos parénquimas glandulares impide su escisión por separado, pues aumentaría el riesgo de recidivas por lesión de la otra glándula o por presencia de tejido remanente.[ Fossum TW, Hedlund CS, Hulse DA et al. Surgery of the digestive system. En Fossum TW (ed): Small Animal Surgery, St. Louis, Elsevier, 2002; 221-399. , Alexander MR, Mark MS: The oral cavity and oropharynx. En Brockman DJ, Holt DE (ed): BSAVA Manual of Canine and Feline Head, Neck and Thoracic Surgery, Gloucester, British Small Animall Veterinary Association, 2005; 39-64. ] Cuando el origen del sialocele cervical es debido a sialolitos, el tratamiento recomendado es la sialoadenectomía, más la retirada del cálculo, pues la extracción única del sialolito está asociado a recidivas.[ Ryan T, Welsh E, Mc Gorum I et al. Sublingual salivary gland sialolithiasis in a dog. J Small Anim Pract 2008; 49 (5):254-6. ] La extracción del cálculo y posterior reparación del conducto sólo ha sido descrita en el caso de cálculos localizados en el conducto parotídeo.[ Termote S. Parotid salivary duct mucocoele and sialolithiasis following parotid duct transposition. J Small Anim Pract 2003; Jan 44 (1):21-3. [PubMed] , Jeffreys DA, Stasiw A, Dennis R. Parotid sialolithiasis in a dog. J Small Anim Pract 1996; 37:296-97. ] En humanos se han desarrollado técnicas de mínima invasión para la eliminación de cálculos salivales, como láser endoluminal o litroticia, aunque la sialoadenectomía sigue siendo el tratamiento de elección.[ Marchal F, Dulguerov P. Sialolithiasis management: the estate of the art. Arch Otolaryngol Head Neck Surg 2003; 129: 951-55. , McGurk M, Escudier M P, Brown J E, Modern management of salivary calculi. British J of Surg 2005; 92: 107-112. ] La extracción del sialolito y de la glándula mandibular y sublingual izquierda fue la técnica elegida en el caso clínico presentado en este trabajo. La localización y reparación del conducto afectado hubiera sido complicado sin dañar estructuras adyacentes, además de que la lesión del mismo no permitía su correcta reparación.

La presencia de un sialolito no debe ser infravalorada ante un paciente con sialocele cervical. El uso de técnicas diagnósticas por imagen, como la radiología, debería ser una práctica habitual en la clínica veterinaria ante esta patología. La sialoadenectomía mandibular y sublingual, junto con la extracción del sialolito, resuelve de manera satisfactoria el proceso, siendo la evolución y pronóstico excelente.

 

Fuente de financiación: Esta investigación no se realizó con fondos comerciales, públicos o del sector privado.

Conflicto de intereses: Los autores declaran que no existen conflictos de intereses en los datos publicados.

Bibliografía

  1. [1] Fossum TW, Hedlund CS, Hulse DA et al. Surgery of the digestive system. En Fossum TW (ed): Small Animal Surgery, St. Louis, Elsevier, 2002; 221-399.
  2. [2] Ryan T, Welsh E, Mc Gorum I et al. Sublingual salivary gland sialolithiasis in a dog. J Small Anim Pract 2008; 49 (5):254-6.
  3. [3] Tobías, KM. Capítulo 54: Sialocele. En Manual de Cirugía de Tejidos Blandos en Pequeños Animales: Buenos Aires, Inter-médica, 2011; 347-52.
  4. [4] Bellenger CR, Simpson DJ. Canine sialoceles 60 clinical cases. J Small Anim Pract. 1992; 33:376-80.
  5. [5] Spreul JS, Head KW. Cervical salivary cysts in the dog. J Small Anim Pract 1967; 8 :17-35.
  6. [6] Glen JB. Canine salivary mucocoele. Results of sialographic examination and surgical treatment of fifty cases. J Small Anim Pract 1972; 13 (9):515-26. [PubMed]
  7. [7] Mulkey OC, Knecht CD. Parotid salivary gland cyst and calculus in a dog. J Am Vet Med Assoc 1971; 159-74.
  8. [8] Termote S. Parotid salivary duct mucocoele and sialolithiasis following parotid duct transposition. J Small Anim Pract 2003; Jan 44 (1):21-3. [PubMed]
  9. [9] Trumpatori BJ, Geissler K, Matthews KG. Parotid duct sialolithiasis in a dog. J Am Anim Hosp Assoc 2007; 43:45-51.
  10. [10] Jeffreys DA, Stasiw A, Dennis R. Parotid sialolithiasis in a dog. J Small Anim Pract 1996; 37:296-97.
  11. [11] Coutin JV, Reese SL, Thieman-Mankin K, Ellison GW. What is your diagnosis? Mandibular sialolithiasis. J Am Vet Med Assoc 2014; 244(5):535-7.
  12. [12] Hunt GB, Youmans KR, Simpson DJ. Retropharyngeal pain and swelling in a dog. Aus Vet J 1997; 75: 476-91.
  13. [13] Stanley R. Failure of parotid duct transposition due to sialolith formation. Vet Comp Ophthalmol 1997; 7:126-7.
  14. [14] Grases F, Santiago C, Simonet BM, et al. Sialolithiasis: mechanism of calculi formation and etiologic factors. Clin Chim Acta 2003; 334:131-36.
  15. [15] Spangler WL, Culbertson MR. Salivary gland disease in dogs and cats: 245 cases (1985-1988). J Am Vet Med Assoc 1991; 198:465-69.
  16. [16] Dunning, D. Tongue, lips, cheeks, pharynx and salivary glands. En Slatter DH (ed): Textbook of Small Animal Surgery, Philadelphia, Slatter Saunders, 2003; 558-60.
  17. [17] Smith M. Oral and salivary gland disorders. En Ettinger SJ, Feldman EC (ed): Textbook of Veterinary Internal Medicine, St Louis, Elsevier/Saunders, 2005; 1290-96.
  18. [18] Tanaka N, Ichinose S, Adachi Y et al. Ultrastructural analysis of salivary calculus in combination with x ray microanalysis. Med Electr Microscopy 2003; 36:120-26.
  19. [19] Bodner L. Parotid Sialolithiasis. J Laryngol Otol 1999; 113(3):266-67.
  20. [20] Rebolledo M, Carbonell Z, Díaz A. Sialolitos en conductos y glándulas salivales. Revisión de literatura. Av Odonto Estomatol 2009; 25(6): 311-17.
  21. [21] Bsoul SA, Flint DJ, Terezhalmy GT et al. Sialolithiasis. Quintessence Int 2003; 34: 316-317.
  22. [22] Nahlieli O, London D, Zagury A et al. Combined approach to impacted parotid stones. J Oral Maxillofac Surg 2002; 60:1418-23.
  23. [23] Marchal F, Dulguerov P, Becker M et al. Specificity of parotid sialendoscopy. Laryngoscope 2001; 11(2):64-271.
  24. [24] Alexander MR, Mark MS: The oral cavity and oropharynx. En Brockman DJ, Holt DE (ed): BSAVA Manual of Canine and Feline Head, Neck and Thoracic Surgery, Gloucester, British Small Animall Veterinary Association, 2005; 39-64.
  25. [25] Marchal F, Dulguerov P. Sialolithiasis management: the estate of the art. Arch Otolaryngol Head Neck Surg 2003; 129: 951-55.
  26. [26] McGurk M, Escudier M P, Brown J E, Modern management of salivary calculi. British J of Surg 2005; 92: 107-112.

Artículos recomendados

Estas recomendaciones se ofrecen de forma automática.

  • Seroprevalencia de la infección por Toxoplasma gondii en mascotas exóticas (conejos, hurones y cobayas) en clínicas veterinarias de España
    P. Moraleda-Berral, A. Montoya, J.P. Barrera, et al.
    Clin Vet Peq Anim Vol. 46 - Nº 1 · MAR 2026 · Artículo original referido a un solo caso clínico
  • Sarcoma histiocítico ocular felino
    M.T. Artacho-Burgos, A. I. Raya-Bermúdez
    Clin Vet Peq Anim Vol. 45 - Nº 4 · DIC 2025 · Artículo original referido a un solo caso clínico
  • Fallo hepático en un perro tras intoxicación por ingestión de semillas de Cycas revoluta

    C. García, A. Segarra, N. Bedía, et al.
    Clin Vet Peq Anim Vol. 45 - Nº 3 · SEP 2025 · Artículo original referido a un solo caso clínico
  • Inicio
  • Introducción
  • Caso clínico
  • Discusión
  • Bibliografía
Artículo anterior Índice de la revista Artículo siguiente
ANUNCIO
Próximos cursos ATVs Elearning
Índice
Inicio Introducción Caso clínico Discusión Bibliografía
Suscripción AVEPA Elearning
ANUNCIO

¿No eres socio de AVEPA y quieres recibir comunicación de las nuevas ediciones en tu correo?

Suscríbete

Suscríbete y te avisaremos cuando publiquemos un nuevo número

Suscribirme

Enlaces rápidos

  • Inicio
  • Último número
  • Archivo
  • Artículos

Información

  • Comité editorial
  • Política de cookies
  • Política de privacidad
  • Términos y condiciones

Contacto

  • info@imaginice.com
  • Envíanos tu artículo
© 2026 Ice Salud Vet SL. Todos los derechos reservados.

Usamos cookies para mejorar tu experiencia. Selecciona cuáles aceptas: